SinghBrothers.ca

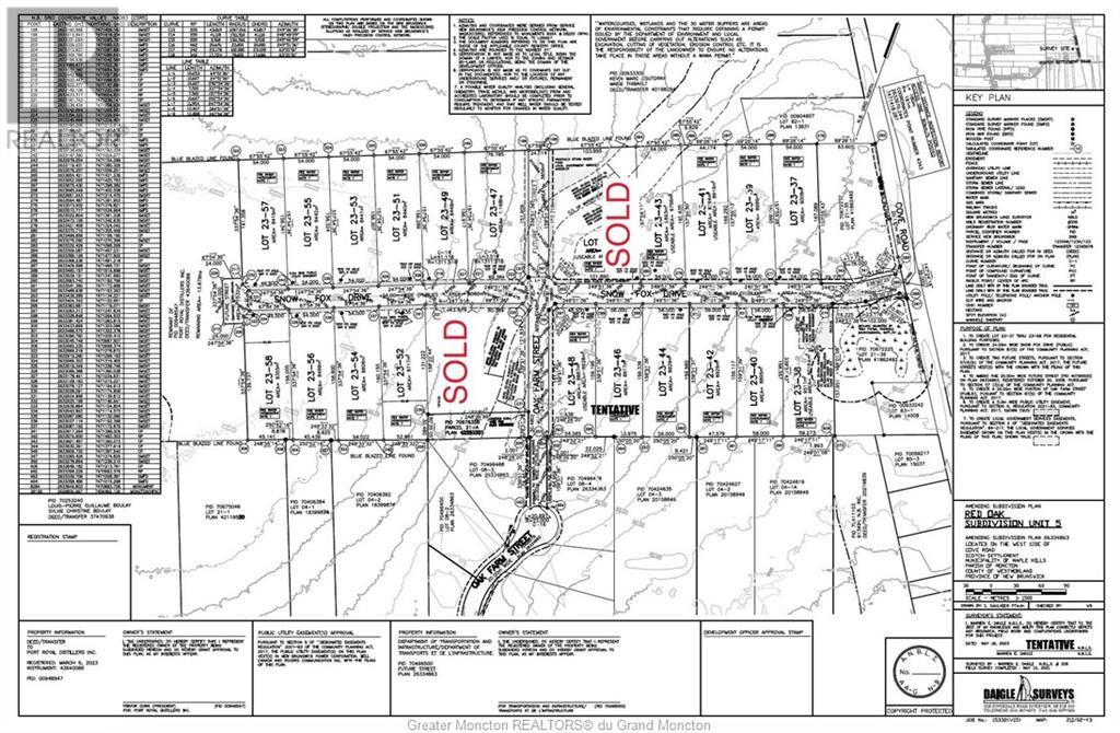
Lot 23-52 Snowfox Dr Irishtown, New Brunswick E1H 2N5

Acreage

$90,000

GREAT BUILDING LOT IN IRISHTOWN! Welcome/Bienvenue to Lot 23-52 Snowfox Drive. If you are looking for a great lot to build your dream home, look no further. This lot offers approximately 2.15 acres of land with trees for privacy. Located a short drive to the Irishtown Community Center, Maplewood Golf and Country Club, Costco and all amenities, this lot is perfect for someone who wants to live in the country but still be close to the city. The lot is part of a bigger parcel and will be subdivided into a 2.15 acre lot (approx.) at the sellers expenses on or before closing date (a new PID and PAN will be assigned at closing). Restrictive covenants in place to protect your investment. HST is applicable. Dont delay, call today for more information or for your own personal viewing. (id:51013)

Property Details

MLS® Number M155059
Property Type Vacant Land
Amenities Near By Golf Course, Shopping

Building

Land

Access Type Year-round Access
Acreage Yes
Land Amenities Golf Course, Shopping
Sewer No Sewage System
Size Irregular +/- 2.15 Acres
Size Total Text +/- 2.15 Acres|1 - 3 Acres
Zoning Type Residential

https://www.realtor.ca/real-estate/26033832/lot-23-52-snowfox-dr-irishtown

Contact Us

Contact us for more information

Generating Captcha

Paul Cormier
Salesperson

(506) 381-3647
(506) 382-3946
www.exitmoncton.ca

Exit Realty Associates
260 Champlain St
Dieppe, New Brunswick E1A 1P3

(506) 382-3948
(506) 382-3946
www.exitmoncton.ca/

Natalie Cormier
Salesperson

(506) 874-7389

Exit Realty Associates
260 Champlain St
Dieppe, New Brunswick E1A 1P3

(506) 382-3948
(506) 382-3946
www.exitmoncton.ca/

Your Favourites

 

No Favourites Found